#SootinClaimon.Com : ขอบคุณแหล่งข้อมูล : หนังสือพิมพ์ไทยรัฐ
https://www.thairath.co.th/news/foreign/2489976
3 ก.ย. 2565 09:52 น.

ญี่ปุ่นรับมือพายุไต้ฝุ่น “หินหนามหน่อ” ที่กำลังเคลื่อนตัวอยู่บริเวณตอนใต้ของเกาะโอกินาวา ทำให้มีฝนตกหนัก น้ำท่วมหลายพื้นที่ ทางการประกาศเตือนภัยระดับสูงสุด และเร่งอพยพประชาชน
เมื่อวันที่ 2 ก.ย. สถานีโทรทัศน์ NHK ของญี่ปุ่นรายงานว่า อิทธิพลของพายุไต้ฝุ่น “หินหนามหน่อ” (Hinnamnor) ทำให้มีฝนตกหนักในหลายพื้นที่ เมื่อเวลา 13.00 น. ของวานนี้ ตามเวลาท้องถิ่นที่เมืองฮามากิตะ และเมืองฮามามัทสึ ในจังหวัดชิสุโอกะ มีฝนตกหนักวัดปริมาณได้ 118 มิลลิเมตรต่อชั่วโมง ส่วนที่จังหวัดอิวาเตะ มีฝนตกหนักวัดปริมาณได้ถึง 120 มิลลิเมตรต่อชั่วโมง
ขณะที่เมืองฮามามัทสึ ในจังหวัดชิสุโอกะที่มีฝนตกหนัก ทำให้เกิดน้ำท่วมหลายพื้นที่ ทางการประกาศเตือนภัยระดับสูงสุด พร้อมสั่งอพยพประชาชนหลังฝนตกหนักทำให้ระดับน้ำในแม่น้ำมาโกเมะล้นตลิ่งเข้าท่วมบ้านเรือนประชาชน ถนนหลายสายจมอยู่ใต้น้ำ
ขณะเดียวกัน ชาวญี่ปุ่นเตรียมพร้อมรับมือพายุไต้ฝุ่นหินหนามหน่อ ด้วยการซื้ออาหารและของใช้จำเป็นกักตุนไว้ ทำให้ชั้นวางสินค้าในซุปเปอร์มาร์เก็ตของห้างสรรพสินค้ามิยาโคจิมา ซิตี้ มอลล์ ในจังหวัดโอกินาวา มีสภาพเกลี้ยง และยังมีป้ายติดแจ้งลูกค้า สินค้าหลายรายการจะขาดตลาดชั่วคราวเนื่องจากอิทธิพลของพายุไต้ฝุ่น ทำให้เรือขนส่งสินค้ายังไม่สามารถเข้าจอดที่ท่าเรือได้ รายงานข่าวระบุว่า สินค้าถูกซื้อไปหมดชั้นวางแบบนี้เช่นเดียวกับในซุปเปอร์มาร์เก็ตและร้านค้าอื่นๆ
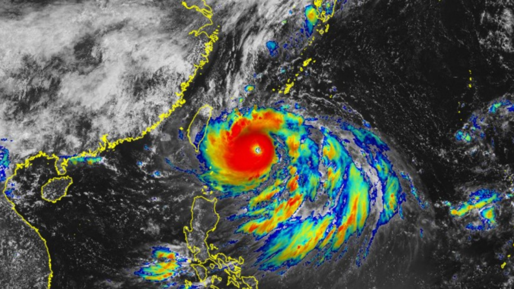
สำนักงานอุตุนิยมวิทยาของญี่ปุ่น อัปเดตเส้นทางพายุล่าสุด ระบุว่า พายุลูกนี้มีกำลังแรงสูง กำลังเคลื่อนตัวอยู่ทางตอนใต้ของเกาะโอกินาวา ทางใต้สุดของประเทศ และมีทิศทางเคลื่อนตัวไปทางตะวันตกเฉียงเหนือ ด้วยความเร็วลม 162 กิโลเมตรต่อชั่วโมง คาดว่าจะเพิ่มความรุนแรงเป็น 180 กิโลเมตรต่อชั่วโมงขณะเคลื่อนตัวผ่านหมู่เกาะทางตะวันตกเฉียงใต้ของญี่ปุ่นในช่วงบ่ายวันนี้ และเช้าวันอาทิตย์ และอาจทวีความรุนแรงได้อีกครั้งขณะเคลื่อนผ่านคาบสมุทรเกาหลี.